Secretary of State Dr. Shirley Weber warns of ongoing threats to voting rights at East County Democratic Club meeting

Villa Musica expanding to East County for 20th anniversary

East County-based physician Charles Hamori honored by American College of Physicians

Highland Fire in Ramona -- forward progress stopped

Senior resource fair coming to Grossmont Healthcare District on April 23

San Diego Padres nearing record $3.9B sale

Eight local women Honored at Soroptimist’s annual “Live Your Dream” Awards Celebration

New Crisis Stabilization Unit opening in El Cajon

How the fruit fly quarantine has impacted food donations -- and how you can help

Federal judge: Continued Border Patrol sweeps in California violated court order

La Mesa City Council votes 5-0 approving e-bike safety pilot program

Passages: Mark Ostrander, firefighter, backcountry leader, 69

News

Planned power outages cancelled in Borrego Springs


Error message

Support community news in the public interest! As nonprofit news, we rely on donations from the public to fund our reporting -- not special interests. Please donate to sustain East County Magazine's local reporting and/or wildfire alerts at https://www.eastcountymedia.org/donate to help us keep people safe and informed across our region.

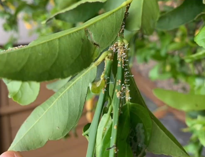
Deadly citrus disease triggers new quarantine in Ramona

East County News Service
 
March 3, 2026 (Ramona) -- The California Department of Food and Agriculture on Monday declared a new citrus quarantine in Ramona after two citrus trees in a residential area tested positive for Huanglongbing, also known as citrus greening.
 
The detections were made during routine inspections, according to officials with the County of San Diego.
 
HLB is one of the most destructive citrus diseases in the world. The bacterial disease causes bitter, misshapen fruit unsuitable for sale or eating and eventually kills infected trees. Symptoms can include mottled yellow leaves that often appear in asymmetrical patterns.

Error message

Support community news in the public interest! As nonprofit news, we rely on donations from the public to fund our reporting -- not special interests. Please donate to sustain East County Magazine's local reporting and/or wildfire alerts at https://www.eastcountymedia.org/donate to help us keep people safe and informed across our region.

Horses of Tir Na Nog welcomes record intake to start Year of the Horse

Photo by Don Telford
 
East County News Service
 
March 3, 2026 (Descanso) — Horses of Tir Na Nog, San Diego County’s longest-operating equine sanctuary, marked a historic milestone Feb. 27, by welcoming six new residents into the nonprofit's care.
 
The arrivals represent the largest single-day intake of domestic horses in the organization’s history, an effort made necessary by the recent closure of a local rescue facility, says Amy Pat Rigney, adminstrator and co-founder of Horses of Tir Na Nog.

Error message

Support community news in the public interest! As nonprofit news, we rely on donations from the public to fund our reporting -- not special interests. Please donate to sustain East County Magazine's local reporting and/or wildfire alerts at https://www.eastcountymedia.org/donate to help us keep people safe and informed across our region.

Motorcyclist saved after collision in Santee, thanks to lifesaving efforts of bystander and deputies

East County News Service

March 3, 2026 (Santee) – A motorcyclist suffered serious injury in a collision with a pickup truck yesterday around 1:50 p.m. at North Magnolia Avenue and the onramp to State Routes 67 and 52.


Error message

Support community news in the public interest! As nonprofit news, we rely on donations from the public to fund our reporting -- not special interests. Please donate to sustain East County Magazine's local reporting and/or wildfire alerts at https://www.eastcountymedia.org/donate to help us keep people safe and informed across our region.

Casualties mount across Middle East; Trump says military conflict could last months, won’t rule out ground troops

By Miriam Raftery

Photo: Secretary of Defense Pete Hegseth, in press conference today

March 2, 2026 (San Diego) – The U.S. and Israeli strikes on Iran in Operation “Epic Fury” which began Saturday are believed to have killed 49 senior Iranian officials, including the Ayatollah Khomeini, according to the White House. The USS Abraham Lincoln and stealth bombers based at Miramar Naval Air Station in San Diego were among the U.S. forces involved in the strikes.


Error message

Support community news in the public interest! As nonprofit news, we rely on donations from the public to fund our reporting -- not special interests. Please donate to sustain East County Magazine's local reporting and/or wildfire alerts at https://www.eastcountymedia.org/donate to help us keep people safe and informed across our region.

East County Chamber honors leaders, organizations at 114th annual soiree

Sycuan Casino Resort hosted the San Diego Regional East County Chamber of Commerce's 114th annual East County Honors Awards Gala over the weekend.

Photos and story by Karen Pearlman

March 2, 2026 (El Cajon) -- More than 400 business and nonprofit leaders, community advocates and public officials gathered at Sycuan Casino Resort last Saturday for the 114th Annual East County Honors Awards Gala.
 
Hosted by the San Diego Regional East County Chamber of Commerce, the event continues to be more than a formal dinner, it also acts as a fundraiser for the nonprofit that represent the diverse business community of the East County region, including El Cajon, Lemon Grove, Rancho San Diego, Alpine, Spring Valley and Jamul.
 
The organization also maintains strong partnerships with other chambers in Santee, La Mesa, Lakeside, Julian, Borrego Springs, Ramona and Poway.
 

Error message

Support community news in the public interest! As nonprofit news, we rely on donations from the public to fund our reporting -- not special interests. Please donate to sustain East County Magazine's local reporting and/or wildfire alerts at https://www.eastcountymedia.org/donate to help us keep people safe and informed across our region.

U.S. and Israel attack Iran, reportedly kill Ayatollah Khamenei

Iran retaliates with strikes targeting U.S. military bases, Israel and civilian targets

By Miriam Raftery

Photo via U.S. Navy:  USS Abraham Lincon aircraft based in San Diego has been dispatched to the region

February 28, 2026 (Tehran) – The U.S. and Israel today launched massive air strikes in Iran. President Donald Trump has said the operation aims to overturn Iran’s government. Trump and Israeli sources have said that Iran’s leader, Ayatollah Khamenei, was killed in the air strikes, CNN and Reuters report.

Iran has retaliated with unprecedented attacks targeting U.S. military bases, Israel, and civilian targets across the Middle East.  According to the BBC, Qatar, Bahrain, Jordan and Kuwait - all home to US military bases - said they had intercepted missiles fired towards them, however black smoke was seen rising from a U.S. base in Bahrain and an explosion was heard in Kuwait. A luxury hotel in Dubai and the Abu Dhabi international airport were also struck. In Israel, one person died and 25 were injured in an attack on Tel Aviv, according to the Israeli newspaper Haaretz.

The U.S. State department is advising Americans around the world to “exercise extreme caution.”  The military conflict has also resulted in disruptions to air travel.


Error message

Support community news in the public interest! As nonprofit news, we rely on donations from the public to fund our reporting -- not special interests. Please donate to sustain East County Magazine's local reporting and/or wildfire alerts at https://www.eastcountymedia.org/donate to help us keep people safe and informed across our region.

KNSJ community radio suffers catastrophic damage when winter storm topples its rented tower

Station is still streaming online, but restoring broadcast signal requires urgent funding for engineering, equipment, and a possible new site

East County News Service

February 28, 2026 (Descanso) – “The tower where KNSJ rented space since beginning broadcasting on July 4th, 2013, is now a crumpled pile of steel and cabling,” states a press release from KNSJ 89.1 FM radio, which airs the East County Magazine radio show.  “Our volunteers have confirmed that the American Tower Company's tower on Monument Peak at 6,200 ft. elevation collapsed in the February winter storm due to severe ice accumulation and wind.


Error message

Support community news in the public interest! As nonprofit news, we rely on donations from the public to fund our reporting -- not special interests. Please donate to sustain East County Magazine's local reporting and/or wildfire alerts at https://www.eastcountymedia.org/donate to help us keep people safe and informed across our region.

"ICE Out" rallies Feb. 28 at Home Depot stores across San Diego County

February 27, 2026 - Community members and local civic advocacy groups will rally at over a dozen Home Depot locations across San Diego County on Saturday, February 28, including three East County locations, calling on the company to condemn ICE activities at their properties, and stop immigration enforcement actions at these and all locations.

Organizers say ICE agents have targeted day laborers in Home Depot parking lots across the country, detaining and deporting workers who are seeking employment. Advocates describe the situation as a growing human rights crisis occurring on Home Depot property and are calling on the company’s corporate leadership to take clear, public action.


Error message

Support community news in the public interest! As nonprofit news, we rely on donations from the public to fund our reporting -- not special interests. Please donate to sustain East County Magazine's local reporting and/or wildfire alerts at https://www.eastcountymedia.org/donate to help us keep people safe and informed across our region.

The true State of the Union

By Alexander J. Schorr

Screenshot: President Donald Trump addresses a joint session of Congress at the Capitol during his State of the Union Speech

“It is indeed a turnround for the ages,” President Donald Trump, 2026

February 27, 2026 (Washington, D.C.) — President Donald Trump gave his 2026 State of the Union address on Wednesday, touting the first year of his second term as “a turnaround for the ages.” However, his nearly two-hour speech contained many false and exaggerated depictions, including misleading claims of an economy that has many Americans struggling amid an affordability crisis, a soaring deficit, and tariffs that have sent costs of many goods skyrocketing. The speech also omitted mention of many key issues and glossed over a dubious record on some others.


Error message

Support community news in the public interest! As nonprofit news, we rely on donations from the public to fund our reporting -- not special interests. Please donate to sustain East County Magazine's local reporting and/or wildfire alerts at https://www.eastcountymedia.org/donate to help us keep people safe and informed across our region.

City of San Diego leaders moving toward safety overhaul on Jackson Drive, other streets

A memorial of bouquets of flowers, stuffed animals, notes and religious candles for the children who were hit by a car, with one killed, at the site of an October accident on Jackson Drive. The city of San Diego continues to make changes for safety. Photo by Karen Pearlman

By Karen Pearlman

Feb. 27, 2026 (San Carlos) -- The San Diego City Council is paving the way for safer streets in the city, including along heavily traveled Jackson Drive in San Carlos, where speeding vehicles, line of sight issues and pedestrian safety have been a growing concern.

The City Council in mid-March will consider passing a plan that will reduce vehicle traffic speeds along Jackson and in other high-priority areas where safety concerns are the most pressing.


Error message

Support community news in the public interest! As nonprofit news, we rely on donations from the public to fund our reporting -- not special interests. Please donate to sustain East County Magazine's local reporting and/or wildfire alerts at https://www.eastcountymedia.org/donate to help us keep people safe and informed across our region.

New leader at East County EDC in Matt Sanford

East County News Service
 
Feb. 26, 2026 (El Cajon) -- The East County Economic Development Council has named Matt Sanford as its new President and CEO, with plans coming for a new chapter as the region’s economic growth continues
 
Following a competitive nationwide search that drew more than 300 applicants, Sanford was selected to succeed James Sly, who departed late last year to lead the Grossmont Healthcare District. Sanford officially will start on March 23.
 
"Honored to join San Diego East County EDC and looking forward to this next chapter, supporting East County businesses and shaping the ecosystem for what’s to come," Sanford wrote on his LinkedIn page on Thursday.
 
Sanford arrives with nearly 20 years of experience in the San Diego County economic landscape. His resume includes a recent tenure as the Economic Development Director for the City of Carlsbad, overseeing business attraction, retention strategies and an annual budget of more than $1 million.
 

Error message

Support community news in the public interest! As nonprofit news, we rely on donations from the public to fund our reporting -- not special interests. Please donate to sustain East County Magazine's local reporting and/or wildfire alerts at https://www.eastcountymedia.org/donate to help us keep people safe and informed across our region.

Postcards sent to registered voters for June gubernatorial primary

By Tracy DeFore, County of San Diego Communications Office

February 26, 2026 (San Diego) - The San Diego County Registrar of Voters office has mailed more than two million postcards to the County’s registered voters, outlining voting options for the June 2 Gubernatorial Primary Election.


Error message

Support community news in the public interest! As nonprofit news, we rely on donations from the public to fund our reporting -- not special interests. Please donate to sustain East County Magazine's local reporting and/or wildfire alerts at https://www.eastcountymedia.org/donate to help us keep people safe and informed across our region.

Donating blood in March could save YOUR life, too

East County News Service
 
Feb. 26, 2026 (San Diego County) -- The American Red Cross is turning a routine blood donation into a lifesaving health diagnostic in March.
 
Amid a severe national blood shortage which saw supply levels plummet by 35% in early 2026 due to winter blizzards and a heavy flu season the organization is offering a dual incentive: a $15 Amazon Gift Card and a free A1C test for all successful donations between March 1 and March 31.
 
The move comes as new data reveals a startling trend: 1 in 5 blood donors -- individuals who are generally considered healthy enough to give -- are walking around with elevated A1C levels.

Error message

Support community news in the public interest! As nonprofit news, we rely on donations from the public to fund our reporting -- not special interests. Please donate to sustain East County Magazine's local reporting and/or wildfire alerts at https://www.eastcountymedia.org/donate to help us keep people safe and informed across our region.

City Of San Diego abruptly ends longstanding media ID and parking placard program, raising new questions about access, accountability, and press rights

Source:  Sandiegoville

February 26, 2026 (San Diego) - The City of San Diego has abruptly discontinued its Media Identification Card (Press Pass) Program and the blue parking placards that for decades helped local journalists cover breaking news safely and in real time. The change, effective February 13, is being framed by San Diego Police Department as an administrative modernization effort. But to many working reporters, photographers, and editors, the practical effect is simple: less access, more friction, and a new discretionary landscape in which on-scene decision-making can tilt against the press, especially when coverage is critical.


Error message

Support community news in the public interest! As nonprofit news, we rely on donations from the public to fund our reporting -- not special interests. Please donate to sustain East County Magazine's local reporting and/or wildfire alerts at https://www.eastcountymedia.org/donate to help us keep people safe and informed across our region.

Jeep thefts surge in La Mesa: Thieves using fob hacking to target autos

East County News Service

Feb. 26, 2026 (La Mesa) -- The La Mesa Police Department is sounding the alarm to the community about rising thefts of recent models of Jeeps.

The police department shares that residents in La Mesa as well as surrounding East County neighborhoods need to be informed of a sophisticated spike in vehicle thefts targeting high-end, newer-model Jeeps.

They say that thieves are pivoting from traditional "smash-and-grab" tactics to high-tech electronic hacking that allows them to drive away in a stolen vehicle in under three minutes.

The primary targets are 2020 and newer Jeep Wranglers and Jeep Rubicons.

Unlike older theft methods that involved hotwiring or physical damage, tech-savvy criminals are using portable electronic devices often marketed as locksmith tools to bypass security. By accessing the vehicle's On-Board Diagnostic port, thieves can communicate directly with the car's computer.

Once connected, the device "tricks" the vehicle into thinking a new key is being programmed. Within moments, the thief has a fully functional electronic key fob, allowing them to start the push-to-start engine and drive away without ever having the original key.


Error message

Support community news in the public interest! As nonprofit news, we rely on donations from the public to fund our reporting -- not special interests. Please donate to sustain East County Magazine's local reporting and/or wildfire alerts at https://www.eastcountymedia.org/donate to help us keep people safe and informed across our region.

Unidentified driver dies in Dulzura collision

East County News Service

February 25, 2026 (Dulzura) – An unidentified male driver of a 2009 Nissan Cube has died in a hospital of injuries sustained February 23 around 2:55 p.m. He was driving eastbound on State Route 94, west of Little Tecate Road in Dulzura, when he veered into ongoing traffic and struck a 2003 Dodge Ram driven by a man, 57, from Tecate, Mexico.


Error message

Support community news in the public interest! As nonprofit news, we rely on donations from the public to fund our reporting -- not special interests. Please donate to sustain East County Magazine's local reporting and/or wildfire alerts at https://www.eastcountymedia.org/donate to help us keep people safe and informed across our region.

Public input sought on La Cresta Road safety following head-on fatal collision

By Paul Levikow

Photo via San Diego Fire Protection District

February 25, 2026 (Crest) – The Crest Dehesa Granite Hills Harbison Canyon Planning Group is seeking public input on the safety of La Cresta Road, following a recent fatal head-on collision in Crest.

Josefina Sanchez, 72, was killed by an alleged drunk driver in the crash Feb. 11, 2026 while visiting her son in Crest. She was in town to mourn the death of her husband who passed away 12 days earlier in Mexico.


Error message

Support community news in the public interest! As nonprofit news, we rely on donations from the public to fund our reporting -- not special interests. Please donate to sustain East County Magazine's local reporting and/or wildfire alerts at https://www.eastcountymedia.org/donate to help us keep people safe and informed across our region.

AI glasses: another potential power that poses threats to schools

By Alexander J. Schorr

Photo:  screenshot of Meta’s Ray Ban AI Glasses analysis by Surfshark

February 25, 2026 (San Diego) — AI in the United States has the potential for great power and change in the nation. It is very much a new “wild west,” and because there are no significant guardrails, there is great danger from it facing human beings when privacy and identity is confronted. The new AI glasses, for example, are a potential danger to school safety and academic honesty.


Error message

Support community news in the public interest! As nonprofit news, we rely on donations from the public to fund our reporting -- not special interests. Please donate to sustain East County Magazine's local reporting and/or wildfire alerts at https://www.eastcountymedia.org/donate to help us keep people safe and informed across our region.

ICE agents outside local school campuses raise concerns

By Alexander J. Schorr

February 25, 2026 (San Diego) — Immigration and Customs Enforcement (ICE) activity has increased in surrounding school areas, which includes the occupying of parking lots,  monitoring of bus routes, and arrests occurring blocks away from schools.

At least 3,800 children have been booked into ICE detention between January 2025 and early 2026. Families have expressed anxiety over “haunting and taunting” by federal agents who patrol or park near schools near school zones during drop-off and pick up times for their children.

As of February 9, 2026, ICE has arrested roughly 393,000 individuals since January 21, 2025. Locally, being the San Diego and Imperial counties, immigration arrests surged by 1,500% between late 2025 and early 2026.


Error message

Support community news in the public interest! As nonprofit news, we rely on donations from the public to fund our reporting -- not special interests. Please donate to sustain East County Magazine's local reporting and/or wildfire alerts at https://www.eastcountymedia.org/donate to help us keep people safe and informed across our region.

Chaldean bishop under investigation for alleged embezzling, personal misconduct

East County News Service

Photo by Miriam Raftery: Bishop Shaleta in May 2024 at opening of incubator business center for refugees and immigrants in El Cajon

February 25, 2026 (El Cajon) – Bishop Emmanuel Shaleta, the top official at St. Peter the Apostle of San Diego Chaldean church in El Cajon, is under investigation by the Sheriff’s fraud unit for alleged “financial mishandling” of funds. NBC 7, an ECM news partner, reports that the Sheriff’s office confirmed an investigation has been launched after an article in The Pillar, a Catholic media outlet, raised allegations of possible embezzlement as well as personal improprieties including visits to a brothel in Tijuana.


Error message

Support community news in the public interest! As nonprofit news, we rely on donations from the public to fund our reporting -- not special interests. Please donate to sustain East County Magazine's local reporting and/or wildfire alerts at https://www.eastcountymedia.org/donate to help us keep people safe and informed across our region.

Escondido City Council looking at showdown over ICE training contract

Scrrenshot, left, of Escondido City Council meeting from Feb. 18 courtesy city of Escondido website video
 
By Karen Pearlman
 
Feb. 24, 2026 (Escondido) -- The city of Escondido is bracing for a charged City Council meeting tomorrow (Feb. 25), as elected officials prepare to publicly look at a quietly renewed agreement allowing U.S. Immigration and Customs Enforcement agents to train at a city-owned firing range — a contract some say they never knew existed.
 
The open session part of the meeting starts at 5 p.m. at  first item on the City Council agenda is a presentation by Escondido Chief of Police Ken Plunkett, which will center around the Escondido Police Department firing range and corresponding contracts.
 
Before the City Council meeting at Escondido City Council Chambers, 201 North Broadway in Escondido, a rally and press conference led by Escondido Indivisible is scheduled for outside City Hall asking the city to cancel the contract with ICE.

Error message

Support community news in the public interest! As nonprofit news, we rely on donations from the public to fund our reporting -- not special interests. Please donate to sustain East County Magazine's local reporting and/or wildfire alerts at https://www.eastcountymedia.org/donate to help us keep people safe and informed across our region.

Rehabilitated bobcat released after 4-month recovery in Ramona

Photo courtesy San Diego Humane Society
 
East County News Service
 
Feb. 23, 2026 (Ramona) — A bobcat kitten was returned to her native habitat yesterday (Feb. 22) after undergoing four months of intensive medical treatment at the San Diego Humane Society’s Ramona Wildlife Center.
 
The release marked the end of a recovery process that began under critical conditions. On Oct. 14, 2025, a gardener discovered the kitten in a San Clemente landscape. At the time, the young bobcat was suffering from severe emaciation, anemia and mange.

Error message

Support community news in the public interest! As nonprofit news, we rely on donations from the public to fund our reporting -- not special interests. Please donate to sustain East County Magazine's local reporting and/or wildfire alerts at https://www.eastcountymedia.org/donate to help us keep people safe and informed across our region.

Lemon Grove City Council appoints two new Planning Commission members

“I love Lemon Grove, and I always like to think the glass is half full, not half empty.” - David Eckler, newly appointed Lemon Grove planning commissioner.

Photo by Armando Rasing II:  The Lemon Grove City Council introducing the new planning commission candidates one-by-one on Tuesday night

By Armando Rasing II

February 23, 2026 (Lemon Grove) - David Eckler and Jennifer Morrisey were chosen by the Lemon Grove City Council on Tuesday to fill the two vacancies in the city’s Planning Commission. 

Eckler and Morrisey were unanimously both voted into the commission. Eckler was voted into the longer first term role, with his term beginning on Tuesday and ending June 30, 2027. Morrisey was voted into the shorter first term role, with her term also beginning on Tuesday and ending on June 30, 2026. 


Error message

Support community news in the public interest! As nonprofit news, we rely on donations from the public to fund our reporting -- not special interests. Please donate to sustain East County Magazine's local reporting and/or wildfire alerts at https://www.eastcountymedia.org/donate to help us keep people safe and informed across our region.

El Cajon Mayor Wells and city leaders outline achievements and goals during State of City address

By Kevin A. Green 

Miriam Raftery contributed to this report

Photos via elcajon.gov 

The mayor and city officials outline planned actions to benefit the community

February 23, 2026 (El Cajon) — El Cajon Mayor Bill Wells addressed public safety, homelessness, the economy and more during his State of the City address February 3 at the Ronald Reagan Community Center.  The mayor recapped progress made in 2025, addressed challenges and outlined goals for 2026.


Error message

Support community news in the public interest! As nonprofit news, we rely on donations from the public to fund our reporting -- not special interests. Please donate to sustain East County Magazine's local reporting and/or wildfire alerts at https://www.eastcountymedia.org/donate to help us keep people safe and informed across our region.

Motorcyclist dies in Descanso

East County News Service

February 21, 2026 (Descanso) – A man killed in a solo motorcycle crash in Descanso on February 8 has been identified as Fernando Omar Herrera, 39, of San Diego.

The motorcycle he was driving veered off the roadway on Viejas Blvd. at Merigan Fire Rd. and struck a wire fence around 11:05 p.m.  Responding paramedics provided potentially lifesaving measures to no avail; he was pronounced dead at 11:38 p.m. from head and neck injuries.


Error message

Support community news in the public interest! As nonprofit news, we rely on donations from the public to fund our reporting -- not special interests. Please donate to sustain East County Magazine's local reporting and/or wildfire alerts at https://www.eastcountymedia.org/donate to help us keep people safe and informed across our region.

U.S. Supreme Court strikes down Trump’s tariffs. Here’s how they’ve affected California

By Levi Sumagaysay, CalMatters

This story was originally published by CalMattersSign up for their newsletters.

Photo:  The cellar room of Tablas Creek Vineyard in Paso Robles on July 30, 2025. Photo by Larry Valenzuela, CalMatters/CatchLight Local

February 20, 2026 (Sacramento) - In a major blow against President Donald Trump, the U.S. Supreme Court ruled Friday that he does not have the authority to impose the wide-ranging tariffs that have caused economic uncertainty in the state, nation and beyond. 


Error message

Support community news in the public interest! As nonprofit news, we rely on donations from the public to fund our reporting -- not special interests. Please donate to sustain East County Magazine's local reporting and/or wildfire alerts at https://www.eastcountymedia.org/donate to help us keep people safe and informed across our region.

And the survey says... County Supervisors looking for input

East County News Service
 
Feb. 20, 2026 (San Diego County) — There's one week left to tell San Diego County officials what you want to see, including ways they can better pull back the proverbial curtain on local government.
 
With a comprehensive survey launched earlier this year, the San Diego County Board of Supervisors -- Paloma Aguirre (District 1), Joel Anderson (D2), Terra Lawson-Remer (D3), Monica Montgomery Steppe (D4) and Jim Desmond (D5) -- are looking at a public outreach initiative aimed at reimagining how the public interacts with the group tasked with governing the county's $8 billion-plus budget.
 
The survey can be accessed here, with a Feb. 27 deadline for input.

Error message

Support community news in the public interest! As nonprofit news, we rely on donations from the public to fund our reporting -- not special interests. Please donate to sustain East County Magazine's local reporting and/or wildfire alerts at https://www.eastcountymedia.org/donate to help us keep people safe and informed across our region.

Tacos, taxes and targeted relief -- Sen. Akilah Weber Pierson hosting resource fair

East County News Service
 
Feb. 20, 2026 (San Diego County) — As the April income tax filing deadline looms, State Sen. Akilah Weber Pierson (D-SD) will serve up a unique blend of financial relief and local flavor next month.
 
Weber Pierson's office on Saturday, March 14, is hosting  "Tacos & Taxes" at the Jackie Robinson YMCA. The event offers qualifying San Diego County residents a chance to secure professional tax assistance -- along with some free tacos.

Error message

Support community news in the public interest! As nonprofit news, we rely on donations from the public to fund our reporting -- not special interests. Please donate to sustain East County Magazine's local reporting and/or wildfire alerts at https://www.eastcountymedia.org/donate to help us keep people safe and informed across our region.

Storm drops nearly 6 inches of rain at Cuyamaca, 3 inches of snow on Mt. Laguna with more forecast

By Miriam Raftery

February 19, 2026 (San Diego’s East County)  A winter storm advisory remains in effect for San Diego’s mountain areas, with additional snow and rain forecast through early Friday morning.

From Monday through Wednesday evening, the storm system dropped three inches of snow on Mt. Laguna, with snow even along Interstate 8 from Alpine east to the county line.

Other areas had heavy rains including 5.92 inches at Lake Cuyamaca and 4.82 inches in Julian.


Error message

Support community news in the public interest! As nonprofit news, we rely on donations from the public to fund our reporting -- not special interests. Please donate to sustain East County Magazine's local reporting and/or wildfire alerts at https://www.eastcountymedia.org/donate to help us keep people safe and informed across our region.

Pages